Inzicht in ontwerpkeuzes Haagse ontwikkellocatie Binckhorstlaan-Lekstraat Variantenstudie naar toekomstige openbaar vervoerverbindingen

Project

Microsimulatie

In Den Haag wordt hard gewerkt aan grootschalige ontwikkelgebieden de Binckhorst en het Central Innovation District. Hoe organiseren we toekomstig openbaar vervoer zo goed mogelijk? En welke investeringen in de infrastructuur zijn daarvoor nodig? Met die vragen van de gemeenten Den Haag en Leidschendam-Voorburg, het samenwerkingsverband Metropoolregio Rotterdam Den Haag (MRDH), de Provincie Zuid-Holland en de Rijksoverheid ging Goudappel aan de slag.

Twee grote binnenstedelijke gebiedsontwikkelingen

In de komende jaren komen er in het Central Innovation District en de Binckhorst zo'n 33.000 woningen en 24.000 werkplekken bij. Dat betekent veel extra verkeer, dat de gemeente Den Haag op een veilige, duurzame en slimme manier wil opvangen. Omdat de twee ontwikkellocaties aan elkaar grenzen, stelden alle betrokken partijen samen de Structuurvisie CID op. Vooruitlopend hierop is vanuit het programma No-Regret het project “Ombouw drie spoorviaducten Binckhorstlaan” gestart, waarbij een vrijliggende busbaan wordt gecreëerd naar de Binckhorst. 

Meerdere vraagstukken

In de structuurvisie staat dat er op de route Binckhorstlaan – Lekstraat ter hoogte van de drie spoorviaducten - onder de spoorlijn Leiden – Rotterdam - een hoogwaardige openbaar vervoerverbinding komt. Vanwege de beperkte beschikbare ruimte in het gebied en de hoge kosten die zo’n spooronderdoorgang met zich meebrengt, zullen hier keuzes gemaakt moeten worden.  

Naast dit inpassingsvraagstuk spelen er ook andere vraagstukken in het gebied, over de centrumringfunctie van de Binkhorstlaan – Lekstraat, hoofdroutes voor fietsers, voetgangers en hulpdiensten en de bereikbaarheid van de functies langs de Binkhorstlaan. Ook de aansluiting van de Binckhorstlaan/Lekstraat op het Schenkviaduct moet onderzocht worden. 

Structuurvisie CID

Afbeelding uit de structuurvisie CID

Effecten inzichtelijk gemaakt

Om inzicht te geven in de effecten van de verschillende ontwerpkeuzes, onderzochten we alle bovenstaande vraagstukken. Met behulp van het microsimulatiemodel VISSIM onderzochten we de volgende ontwerpkeuzes: 

  • Het toepassen van een 2x1-profiel in plaats van het huidige 2x2-profiel
  • Het compacter maken van de kruispunten (minder opstelstroken)
  • De aansluiting van het Schenkviaduct op de Binckhorstlaan/Lekstraat

We keken hierbij naar de volgende mogelijke effecten op de verkeersafwikkeling: wachtrij/filevorming, trajectsnelheden en fileterugslagkansen tot in de Koningstunnel en/of de Victory Boogie Woogie-tunnel. Dit laatste is uiteraard een absolute no-go. 

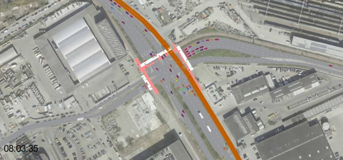
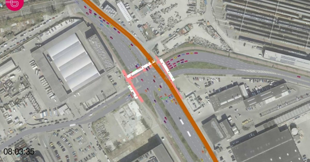
Microsimulatie

Momentopname uit de microsimulatie

Belangrijke inzichten voor het maken van keuzes

De resultaten van onze simulatiestudie bieden alle betrokken partijen belangrijke inzichten die zijn meegenomen in het verdere traject, zoals het verkeersplan voor het gebied.

Opdrachtgevers: Gemeente Den Haag, Gemeente Leidschendam-Voorburg, Metropoolregio Rotterdam Den Haag, Provincie Zuid-Holland en Rijksoverheid
Jaar: 2022